Nation’s Electric Companies Prepare for Hurricane and Wildfire Seasons During Pandemic
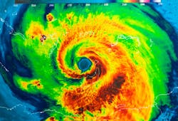
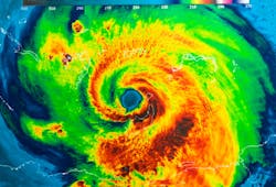
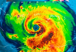
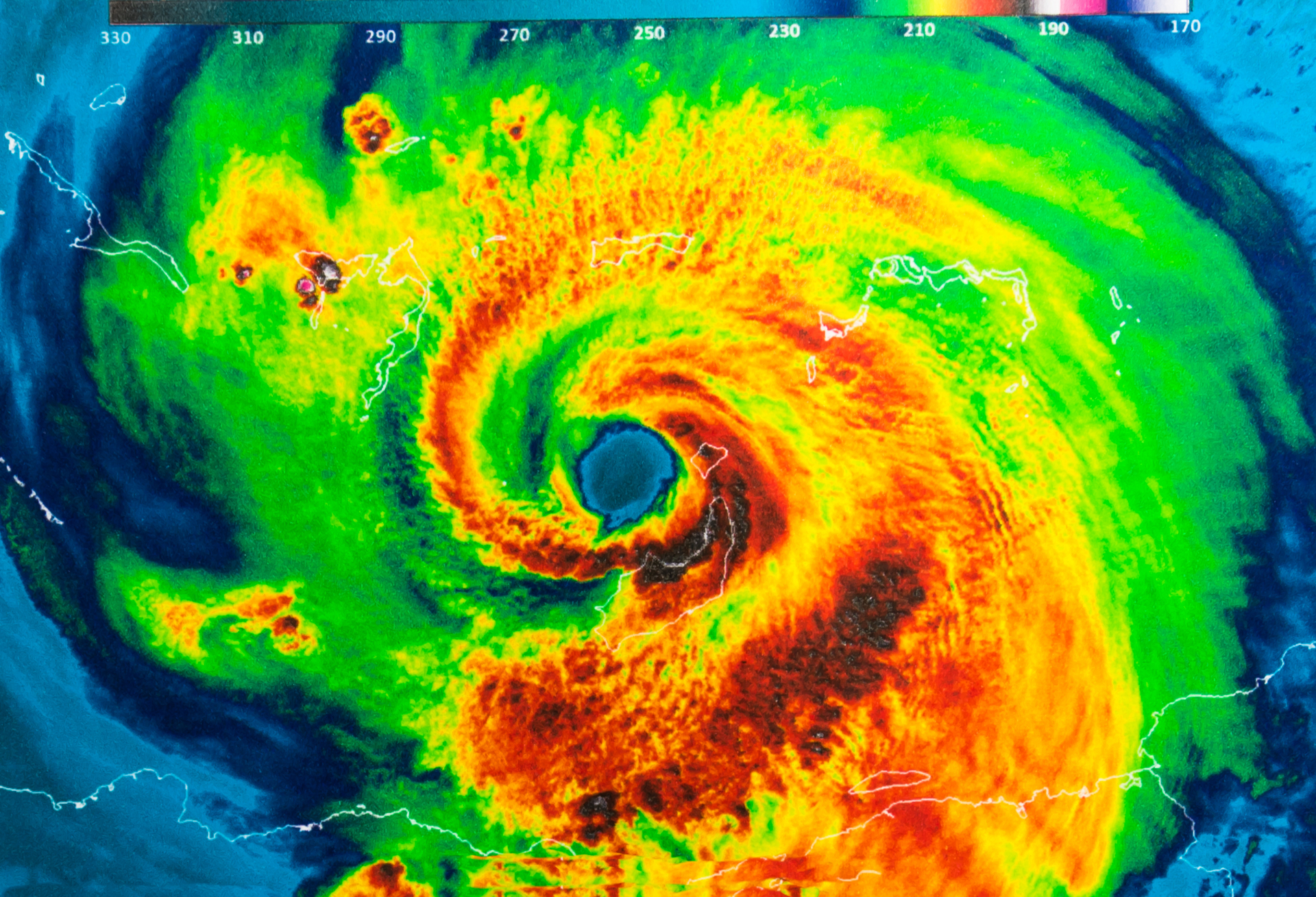
With the start of the 2020 hurricane and wildfire seasons, not only utilities, but also their customers should prepare now for the severe weather and emergency situations ahead, according to the Edison Electric Institute (EEI).
“In 2019, we experienced an active wildfire season and had multiple major hurricanes impact communities along the Atlantic coast,” says Scott Aaronson, EEI’s vice president for Security & Preparedness. “Based on current forecasts, our nation’s electric companies are expecting and preparing for another active storm and wildfire season this year.”
The ongoing COVID-19 pandemic is also presenting a challenge to EEI member companies nationwide.
"Given that we also remain in a pandemic, EEI’s member companies have put in place COVID-19 protocols to ensure the safety of our workforce and our customers throughout any emergency response,” Aaronson added.
Mutual assistance is a hallmark of the electric power industry. In advance of major storms and following natural disasters that strike without notice, electric companies work together to identify potential resource needs and to line up additional personnel, equipment, and supplies that may be needed to support power restoration. This careful preparation allows for a safe entry and a rapid, organized response in the affected areas.
Early on in the COVID-19 pandemic, EEI and its member companies worked through the Electricity Subsector Coordinating Council (ESCC) to develop a resource guide to ensure that processes and procedures are in place to keep the workforce healthy and safe while they work to maintain continuity of operations. A major focus was developing COVID-19 protocols for emergency power restoration. These protocols were put to the test during the deadly storms that hit 21 states Easter weekend, and updates were made based on the lessons learned by impacted electric companies.
“It's more important than ever that customers keep a safe distance from lineworkers and other essential employees as they perform critical work in our communities,” says Aaronson. “Safety is our top priority. We understand that people may want to ask questions or thank crews during emergency power restorations. Please remember the importance of practicing social distancing so all remain healthy and our mission-essential workers are able to perform their work safely.”
