Ireland Struggles to Restore Power, Communications After Hurricane Ophelia
Irish authorities were still battling Tuesday to restore power, water and communications services, one day after Hurricane Ophelia swept across the country.
According to water and electricity companies, the number of customers initially without water was 66,000, while 151,000 homes and businesses remained without power as of earlier in the week, after Ophelia hit the country, bringing down trees and power lines.
They said they have several thousands of staff employees and contractors on the ground working on repairs, hoping to have most customers restored to service within three to four days.
Meanwhile, Eir, the largest telecommunications operator in the country, said about 150,000 customers are without broadband, telephone and mobile services as a result of Ophelia, adding that the hurricane had delivered widespread levels of damage to its infrastructure, including damage to poles and cables.
The telecom firm also said the country's southwest and midlands areas are the worst affected and in particular County Cork, where 51,000 customers have no phone service.
Hundreds of council workers were also deployed across the country to clear roads and to assess the extent of any structural damage to public buildings.
On Tuesday, all Irish Schools were closed for a second day, but most colleges and universities reopened.
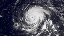
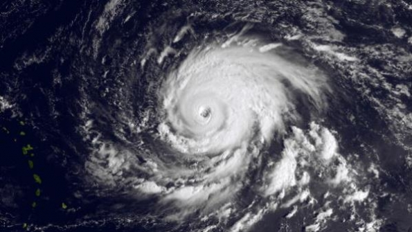
Ophelia is the worst storm in Ireland in 50 years, according to Met Eireann, the Irish national meteorological service.
Met Eireann upgraded the entire country to a status red wind alert over Hurricane Ophelia before the storm landed the country's southwest coastal areas.
ESB Networks said today that it is continuing to restore power with power now restored to 348,000 families, farms and businesses. About 37,000 customers remain without supply.
The worst impacted areas are in the environs of Enniscorthy, Wexford town, New Ross, Bandon, Dunmanway and Fermoy. Assisted by contractors, crews from Northern Ireland and overseas utilities, as well as the army and air corps, ESB Networks will continue restorations to every last family, farm and business until their lives are back to normal.
A Met Éireann Status Orange wind warning has been issued for seven coastal counties, including Cork and Wexford, will hamper restoration efforts. Should the weather conditions worsen further, our crews will be stood down until it is safe to resume repairs again. Winds speeds up to 130 km/h will cause outages to customers in Mayo, Galway, Clare, Kerry, Cork, Waterford and Wexford on Saturday. A
ESB Networks said it is acutely aware of the tremendous difficulties and frustrations of communities in areas that remain without power. Crews from EDF in France have arrived in Rosslare and were greeted by Minister for Defence Paul Kehoe TD before they are deployed to the worst impacted areas around Enniscorthy.
